When people talk about Jesse Mallgren, the San Francisco–born, Sonoma-raised executive chef of Madrona Manor, a historic inn just off Dry Creek Road on the western side of Healdsburg, the conversation tends to revolve around the fact that he has earned the inn a Michelin star every year for the past decade.
Mallgren, though, would likely say that the real star of Madrona Manor is the one-acre garden he began nurturing when he first came to the inn in 1999.

"The garden was here when I started," Mallgren explained, recalling that prior to his arrival, the restaurant hadn't been taking full advantage of its resource. When he received his first order of tomatoes from a supplier, he observed that the garden's own were going to waste, languishing on the vines. Shortly thereafter, he began working in earnest with the inn's master gardener to develop an intensive cultivation program that would eventually provide the kitchen with a hundred different varieties of vegetables, herbs, and fruits throughout the year.
Today, said Mallgren, the garden is not only the source of many of the restaurant's ingredients, but a source of inspiration. To celebrate his quiet partner, Mallgren recently conceived of a special experience for guests of the inn: a personal tour of the garden, followed by a custom-designed tasting menu in which every dish contains at least one element pulled or plucked or pinched from the garden just hours or minutes before.
On a brilliant July afternoon, Mallgren started the tour in the inn's neatly manicured citrus grove, whose trees were laden with the developing fruits of Valencia oranges, blood oranges, dwarf mandarin oranges, and Eureka lemons. When the oranges are in season, the inn serves fresh juice for breakfast, but in mid-summer, Mallgren said, he uses the unripe Valencias to make ponzu, a tangy Japanese condiment whose main ingredients are citrus juice and soy sauce.
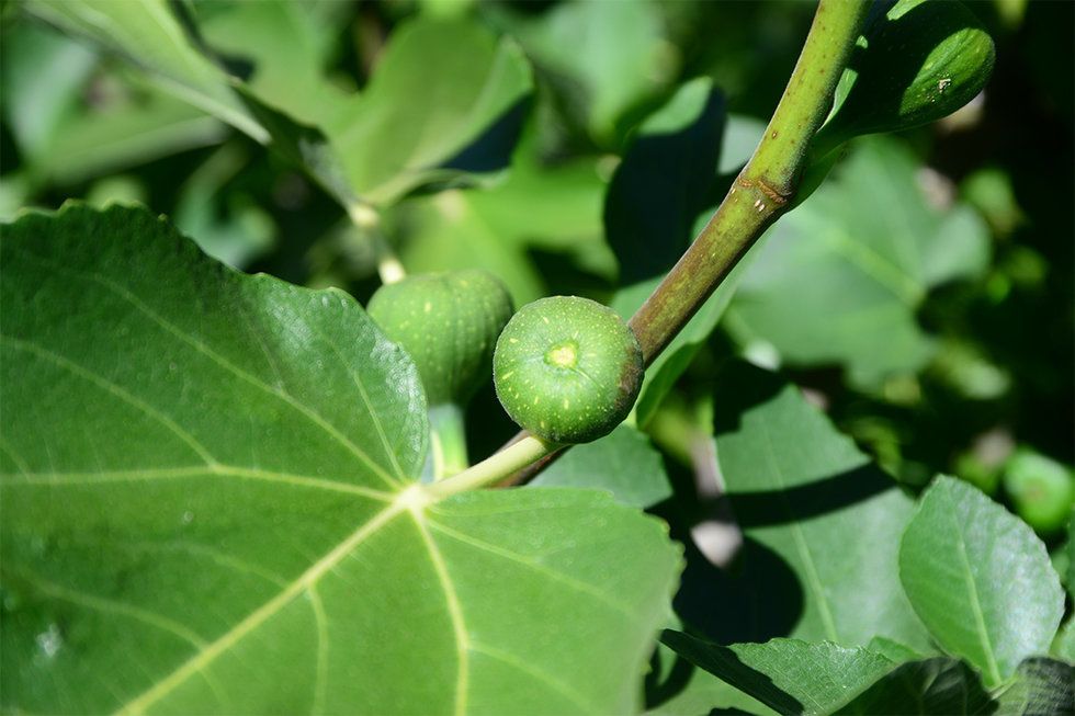
Next, Mallgren introduced a vigorous-looking brown turkey fig tree whose lush green leaves concealed clusters of plucky green fruits that will ripen from August through September. Some time ago, at a Wine Country restaurant, Mallgren was intrigued by some figs that had been pickled while green—he is still trying to reverse-engineer the recipe, he said.
Beside the fig were a pair of pear trees, two varieties, their exact lineage unknown. Among the many intricacies Mallgren learned from Pedro Lopez—the horticulturalist who maintains the kitchen garden as well as all of the plants on the property—is that pears ripen from the inside out, and that by the time the outside of the fruit yields to the touch, the center will have turned to a starchy mush. Some 20 years in, Mallgren admitted, he is still working to perfect his timing on the pear harvest.
Wandering further through a series of tidy, drip-irrigated beds, Mallgren pointed out the delicate, flower-tipped stalks of horseradish arugula, whose powerful punch uncannily mimics that of its namesake, growing among a row of enticingly leafy beets. Nearby, pale yellow blossoms spiraled from the ends of pinkie-sized zucchini, and a multitude of tiny haricots verts hung beneath their low, green canopy. When it comes to specialties like these, the kitchen garden is particularly advantageous, maximizing freshness while minimizing costs. Mallgren explained that while any number of suppliers will happily ship baby green beans or minuscule squash and their blossoms, they charge an arm and a leg. All Mallgren has to do, he said jokingly, is to con one of his cooks into picking them.
My appetite growing amid the vigorous stands of strawberries and pineberries, sorrel, spring onion, and New Zealand spinach, I found myself wondering how Mallgren goes about imposing order on all this abundance and diversity. It takes quite a bit of planning, he said. With a limited amount of space devoted to each crop, the different kinds of produce tend to come and go in seasonal booms and busts. The trick is anticipating when the booms are going to hit, and incorporating those ingredients into the menu in a way that is neither excessive nor overt.
Timing is of the essence on the planting side as well. When the season for a particular crop ends, it's vital to get something growing in its place as soon as possible. To that end, five years ago Lopez set up a greenhouse where, at any given time, he is giving a head start to nearly 20 varieties of produce.
Mallgren excused himself—it was time to get to the kitchen. I remained in the garden for a while, pilfering a handful of yellow gooseberry tomatoes. Popping them into my mouth like little orbs of candy, I tried to piece together the words to William Carlos Williams' "This Is Just to Say," as I gazed at the bees and butterflies probing lavender flowers with their proboscises.
As the sun began its downward slide, I went to my table on the inn's porch, which overlooks a small hillside newly planted with merlot, and far away to the east, the Mayacamas Mountains and the peak of Mount Saint Helena.
Dinner began with Hokkaido scallop crudo with a green orange ponzu, garnished with sea beans and the kitchen garden's own diablo chili and cucumber. The scallops were meltingly tender; the intense flavor for which they are known perfectly offset by the ponzu's brisk saltiness and acidity. The sea beans lent a juicy, saline pop to the dish; the peppers a sweet-hot glow; and the cucumbers, a hit of summer cool.
Digging into the next dish, there was a kind of delayed delight on realizing I was enjoying a cleverly reimagined Caprese salad, in which fresh, halved cherry tomatoes and a wedge of tomato sorbet, garnished with tiny basil leaves, were ensconced in a scrumptiously creamy-foamy concoction that Mallgren calls "mozzarella froth." (I'm now plotting a return trip to Madrona Manor for this dish alone.) The garden, by the way, should be producing tomatoes through October.
And then a squash blossom: stuffed with creamy and ever so delicately funky goat cheese, dredged in panko and fried to a delightful crunch, perched on a sumptuous green heap of haricots verts and garnished with a drizzle of beet syrup and little, purple-blue petals of Johnny-jump-up.
There's something refreshing about Mallgren's cooking, which is at once exciting and fun, yet the furthest thing from showy. I think it has to do with the degree to which he defers to the primacy of his ingredients, and a well-honed awareness that freshness and flavor trump frivolity in any contest. Case in point: some pillowy soft and wonderfully light ricotta gnocchi with chanterelles, spring onions, and black truffles—a dish whose earthy, alliaceous deliciousness left me in a mild hypnotic state.
This feeling persisted in the savory finale: an incredibly rich, almost buttery cut of king salmon, lightly seared and set atop some tender zucchini buttons and succulent slices of artichoke simmered in a barigoule broth, and garnished with aioli, a scattering of bee pollen, and a peppery-sweet nasturtium leaf.
Madrona Manor's pastry chef, Oanh "Sally" Nguyen, brought things to a close with a sophisticated spin on strawberries and cream. The berries, small and vividly flavorful Chandlers from the garden, were arranged on a slender catwalk of sponge cake and crème fraîche and, in between them, little pinkish cylinders of delicately sweet meringue and gleaming jewel-like bits of rosé and rose petal gelée. Beside this confection, a scoop of strawberry sorbet sweated invitingly on a mound of pistachio streusel, and as the sun hovered at the horizon in a hesitant farewell, the hills to the east lit up in a warm, red glow.
// Madrona Manor's Chef's Garden tour package ($1,450 per couple) includes a garden-inspired cocktail during the tour; a custom-designed 7-course tasting menu with wine pairings, and a one-night stay in the inn's Schoolhouse Suite. The Chef's Garden Tour package is available Thursday and Sunday nights only. Madrona Manor, 1001 Westside Rd. (Healdsburg), madronamanor.com.












































